Posted
on
in
Caribbean Cruise 2016-17
• 368 words
• 2 minute read
Tags:
Cayman Islands, Grand Cayman, Snorkeling, Stingray
Today we were in Grand Cayman, Cayman Islands. English is the first language in the Cayman Islands, but many people speak Spanish as well since they are in contact with Hispanic cultures on a regular basis. We arrived fairly late in the morning (11:00) and our tour didn’t start until 14:00 (2:00 PM). It was a tender port though, so we had to wait for our tender to get off the boat. We walked around the town for about an hour and then went to the tour company office.
From the tour company office, we rode a bus to the boat dock, and on the way our driver told us some things about the Cayman Island. For one, the island is tax free but a lot of rich people live there (huh, funny, when you don’t have any taxes, money comes to you. What a surprise. JK, not actually a surprise, more like common sense.). Our driver made it very clear that the Cayman Islands are tax free (say it really slowly and emphatically in a deep Caribbean accent).
We got to the boat and boarded and then rode out to Stingray Sandbar.
Stingray Sandbar
Out at the sandbar, we were able to hold and “kiss” the stingrays.
It took a while for all of the people to have an opportunity to be able to hold the stingrays, but it was kinda cool.
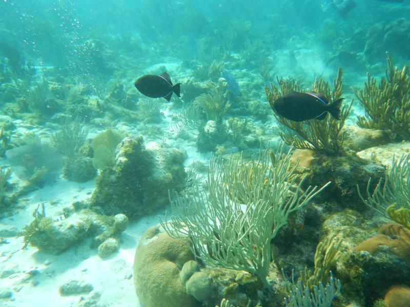
Snorkeling
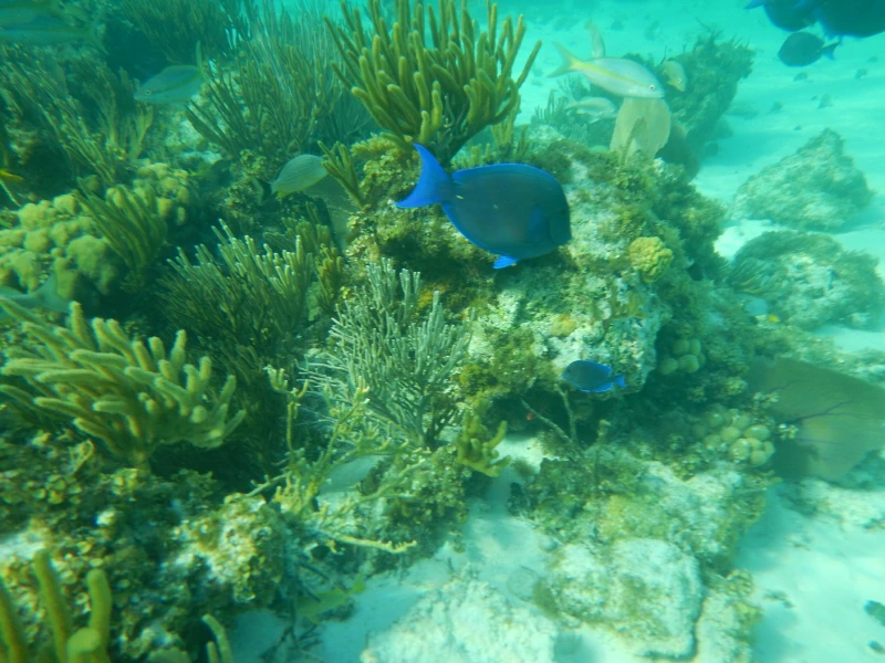
After seeing the stingrays, we rode over to another spot where we got out to snorkel. I decided to wear my contacts today since the masks keep the water out of my eyes pretty well when I snorkeled last time. I was extremely happy about that decision. The coral was amazing and there was a great variety of fish.
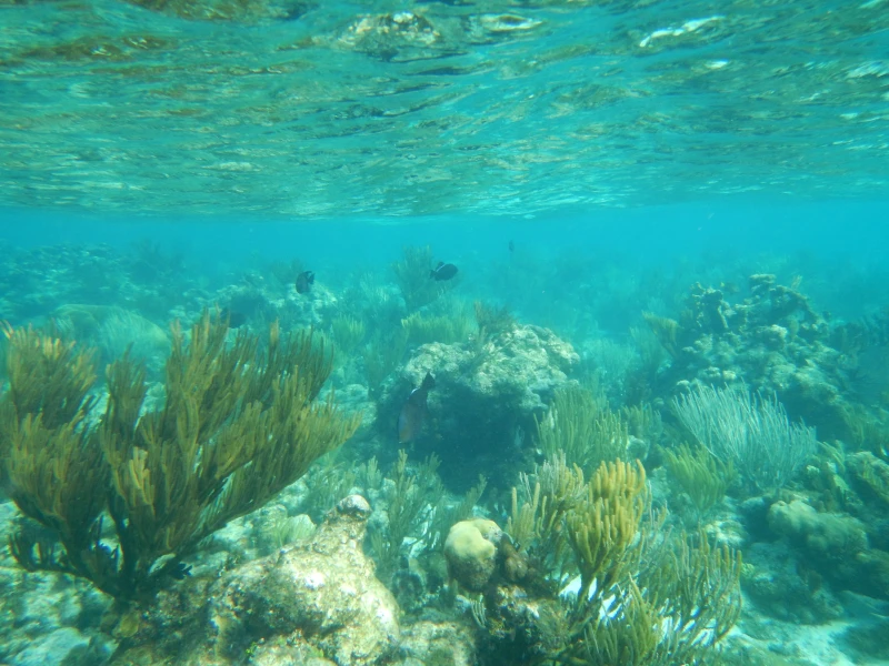
We went to one other site where there was a huge variety of fish, but not as much coral. The guides had fish-food, which they threw out, which attracted a ton of fish.
That was about it, we rode back to the shore and then drove back to town and walked to the boat. I really enjoyed the snorkeling trip, I love being in the water where there are so many cool things to see.















